Pulau kapas lagi? Ok la ni kan dah masuk tahun baru. So start season baru ni naik la kapas balik…
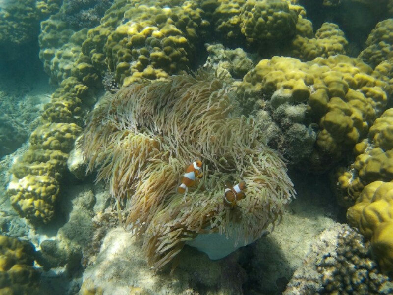
Cuaca superb, air jernih memang superb. Kali ni aku bawak la sjcam aku… Banyak gak gambar nemo dapat tangkap. Depan Loko-loko ni agak menarik tempat untuk snorkeling.
Oh mask tu pinjam adik Lydia punya memang best. Digandingkan dengan kaki itik, pengalaman snorkeling kali ni memang terbaik.
Seperti biasa aku stay di Ombak Kapas. Selalunya aku ambil bilik sahaja berbanding package tetapi disebabkan musim cuti sekolah, aku terpaksa ambil package kerana itu je yang ditawarkan. Harga rm170 untuk dewasa dan rm80 untuk kanak2 termasuk penginapan, bot transfer dan makan 3 kali untuk 1 malam.




